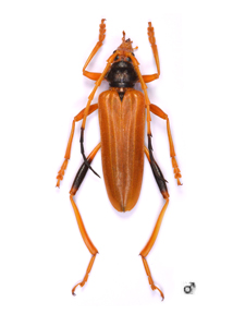
SCHMIDTIANA STRUMOSA

NORD BORNEO